A Nota Técnica NT2025.002 estabelece novas regras de validação para os Documentos Fiscais Eletrônicos (DF-e), visando à adequação do sistema Protheus às novas diretrizes da Reforma Tributária do Consumo (RTC)
Preparação de ambiente:
O ambiente de homologação da SEFAZ já está preparado para receber as TAGs referentes ao CBS (Contribuição sobre Bens e Serviços) e IBS (Imposto sobre Bens e Serviços), com seus respectivos valores.
Recomendamos a criação de uma base de testes, fundamental para validar as alterações sem impactar o ambiente de produção. Após a criação dessa base, devem ser executadas as seguintes etapas:
Atualização do ambiente: as atualizações necessárias estão listadas abaixo:
Atualizações TSS:
Expedição continua (TSS):
* Caso opte por aplicar a patch diretamente no RPO do TSS temos esse passo-a-passo
RPO (Pode ser substituído diretamente o RPO sem a necessidade de aplicação da patch):
URLs:
Schemas:
New NFSE:
Atualizações Protheus:
Expedição continua (Protheus):
- 12.1.2410
- 12.1.2510
- Rdmakes NFE|MDFE|NFCOM (Não tem bloqueio de release)
Importação da tabela cClasstrib de IBS e CBS: Esta tabela será fundamental para a correta classificação tributária dos novos impostos.
Carga automática dos Tributos CBS e IBS: Configuração para que os novos tributos sejam carregados automaticamente nos documentos fiscais.
Cadastro Complementares de Carga: Realizar os cadastros adicionais necessários para a correta aplicação dos novos tributos.
CFGTRIB - Cálculos no Configurador de Tributos
Aprovação de regras de homologação para produção: Após a validação no ambiente de testes, as regras devem ser aprovadas para serem aplicadas no ambiente de produção.
CFGTRIB - Mecanismo de aprovação de regra
Gerar o documento com os novos tributos e testar a emissão que inclua o CBS e o IBS.
Transmitir a Nota com os novos impostos: Verificar se as notas fiscais estão gerando os novos impostos corretamente e aprovar o documento fiscal em ambiente de homologação na SEFAZ.
MV_NT25002:
Para encaminhar as novas TAGs em ambiente de produção é necessário, que além dos passos descritos acima também seja alterado o parâmetro MV_NT25002 na base de dados do TSS, incluindo a data desejada para a aplicação das novas regras em produção. Esse parâmetro determina apenas a entrada das regras em produção, em homologação as novas validações já serão aplicadas automaticamente.
Esse parâmetro pode ser configurado tanto globalmente quanto por entidade. Caso a base de dados possua apenas a configuração global, a nova tag será criada em Produção na data definida no parâmetro, cujo valor padrão é 05/01/2026.
O parâmetro global será criado automaticamente após a aplicação do pacote, na tabela SPED000, com a data padrão de 05/01/2026 (data estipulada pela Sefaz para a exigência da nova tag em Produção), sem associação a uma entidade específica, conforme o exemplo abaixo:
Documentação do parâmetro MV_NT25002
MV_RTC130:
O parâmetro MV_RTC130 foi criado para que as tratativas/TGAs da NT 2025.002 v 1.30 seja respeitada para montagem de TAGs no TSS em produção (homologação não é possível configuração), caso o parâmetro não seja criado, para produção o valor padrão de seu conteúdo será 05/01/2026.
Caso não exista o parâmetro na base de dados do TSS o mesmo será criado sem entidade vinculada, com a data de 05/01/2025 no ato da emissão de uma nota com IBS/CBS.
Exemplo:
Documentação do parâmetro MV_RTC130
Além do funcionamento global, o parâmetro pode ser configurado por entidade. Caso seja necessário ajustar a data de entrada em Produção para alguma entidade específica, o sistema priorizará o parâmetro por entidade; caso este não exista, será considerado apenas o parâmetro global.
O parâmetro determina apenas a entrada das regras em Produção. Em ambiente de homologação, as novas validações já serão aplicadas automaticamente.
Será necessário confirmar com a SEFAZ de cada estado a liberação da Nota Técnica em ambiente de produção antes do envio.
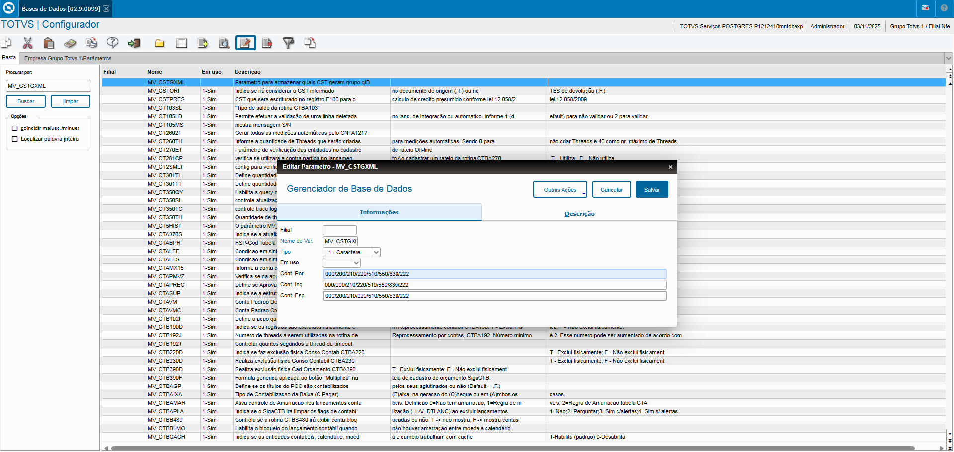
MV_CSTGXML:
O preenchimento do parâmetro MV_CSTGXML funciona das seguintes formas:
- Por padrão MV_CSTGXML vem com os seguintes CST: 000/200/210/220/510/550/830
- Caso deseja gerar o grupo de IBS/CBS para outro CST que não esteja na lista, basta informar um CST ao final da lista separando-os cada CST por uma barra "/". Por exemplo, o CST 222, ficando o parâmetro assim: 000/200/210/220/510/550/830/222
Validar CST e cClassTrib com a SEFAZ pois está ocorrendo atualizações periódicas.
Caso a operação não seja padrão (tributada integralmente) será necessário a existência do IBS Municipal, IBS Estadual e CBS, parametrizando as reduções e benefícios a esse tributos.
Foi criado o parâmetro MV_RTC55, do tipo data, com valor padrão 01/01/2026, correspondente à data de início da obrigatoriedade de geração das novas tags de IBS/CBS.
Caso o cliente deseje antecipar testes de envio com IBSCBS, o valor do parâmetro deve ser configurado com uma data menor ou igual à data corrente.
Exemplo: data atual 11/11/2025, valor do parâmetro 10/11/2025.
Além disso, é necessário garantir que a configuração tributária no Configurador de Tributos inclua os tributos IBS/CBS.
Caso o cliente tenha apenas ICMS configurado, as novas tags de IBSCBS não serão geradas, mesmo que a data do parâmetro permita a ativação.
Exemplo criação do parâmetro:
Nome: MV_RTC55
Descrição: Ativa Reforma Tributária.
Conteúdo: 01/01/2026
Tipo: Data
Filial: Corrente
Documentação do parâmetro MV_RTC55
As novas tags da reforma tributária, incluindo os grupos dos impostos IBS, CBS e IS, só serão geradas se o parâmetro correspondente estiver configurado no Protheus com data vigente à emissão do documento.
Caso o parâmetro não exista ou esteja configurado com uma data futura, a nota será gerada conforme o modelo legado.
Atenção
Recomendamos manter as expedições do TSS e do Protheus em execução contínua para garantir a aplicação dos ajustes liberados.
Aguardamos os ajustes de impressão de DANFE que estão mapeados para o futuro.
Além dessa atenção a vigência e aprovação das regras dos novos impostos, recomendamos que essa rotina seja utilizada com CAUTELA e que todas as atualizações e testes sejam VALIDADOS PREVIAMENTE NO AMBIENTE DE HOMOLOGAÇÃO, a fim de EVITAR IMPACTOS NO AMBIENTE DE PRODUÇÃO.
Links relacionados:







